Granular™ Club

Something went wrong. Please try again later...
 

Η Corteva Agriscience™, ηγέτης στον κλάδο της γεωργίας, έχει αναπτύξει ένα χαρτοφυλάκιο ψηφιακών λύσεων που βοηθούν τους επαγγελματίες της γεωργίας να λαμβάνουν τεκμηριωμένες αποφάσεις που βασίζονται σε δεδομένα. Αυτές οι ψηφιακές λύσεις νέας γενιάς προσφέρουν γνώση και τεχνητή νοημοσύνη που χρειάζονται παραγωγοί και γεωπόνοι για να διευθύνουν πιο αποτελεσματικές, κερδοφόρες και βιώσιμες επιχειρήσεις. Επίσης ανιχνεύουν και υποδεικνύουν  μελλοντικές ευκαιρίες για καινοτομία.  

Συνεργαζόμενοι Φορείς και Iδρύματα

Καλλιεργούμε με σιγουριά

 

Το ψηφιακό κλαμπ της Corteva Agriscience Hellas  είναι νέο μοντέλο δουλειάς που βασίζεται σε δεδομένα, ανάλυση και στοχευμένες υπηρεσίες για παραγωγούς και γεωπόνους με τους οποίους θέλουμε να έχουμε συστηματική και τακτική αλληλεπίδραση καθόλη τη διάρκεια του έτους.   Η Corteva Agriscience Hellas προσφέρει στα μέλη του Granular™ Club τη σωστή λύση τη σωστή στιγμή στη σωστή τοποθεσία και στη σωστή τιμή, προσφέροντας στην καλλιέργεια μια διαφοροποιημένη εμπειρία με άριστα αποτελέσματα, ευκολία και σωστή διαχείριση του περιβάλλοντος. 

Καλλιεργούμε με σιγουριά

 

Το ψηφιακό κλαμπ της Corteva Agriscience Hellas  είναι νέο μοντέλο δουλειάς που βασίζεται σε δεδομένα, ανάλυση και στοχευμένες υπηρεσίες για παραγωγούς και γεωπόνους με τους οποίους θέλουμε να έχουμε συστηματική και τακτική αλληλεπίδραση καθόλη τη διάρκεια του έτους.   Η Corteva Agriscience Hellas προσφέρει στα μέλη του Granular™ Club τη σωστή λύση τη σωστή στιγμή στη σωστή τοποθεσία και στη σωστή τιμή, προσφέροντας στην καλλιέργεια μια διαφοροποιημένη εμπειρία με άριστα αποτελέσματα, ευκολία και σωστή διαχείριση του περιβάλλοντος. 

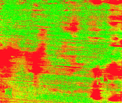
Συμβουλή Χρόνου Σποράς με χάρτες από δεδομένα Τηλεπισκόπησης
Σε συνεργασία με το κέντρο Beyond του Αστεροσκοπείου Αθηνών ενημερώνονται οι ενδιαφερόμενοι για τις συνθήκες που επικρατούν στο έδαφος και στο βάθος σποράς στην περιοχή τους ή και τα συγκεκριμένα αγροτεμάχια τους. Η ενημέρωση γίνεται ηλεκτρονικά με χάρτες που ανανεώνονται καθημερινά και περιέχουν υπόμνημα που με χρωματικό τρόπο υποδεικνύει τον βέλτιστο χρόνο σποράς για βαμβάκι, καλαμπόκι και ηλίανθο λαμβάνοντας υπόψη τις ανάγκες της κάθε καλλιέργειας χωριστά.

Ακολουθεί ενδεικτικά η τρέχουσα πρόγνωση για το βαμβάκι στην Θεσσαλία. Παρακαλώ ελάτε σε επικοινωνία μαζί μας για πρόσβαση σε επικαιροποιημένους χάρτες σε όλη την Ελλάδα. 

Συμβουλή Χρόνου Σποράς με χάρτες από δεδομένα Τηλεπισκόπησης
Σε συνεργασία με το κέντρο Beyond του Αστεροσκοπείου Αθηνών ενημερώνονται οι ενδιαφερόμενοι για τις συνθήκες που επικρατούν στο έδαφος και στο βάθος σποράς στην περιοχή τους ή και τα συγκεκριμένα αγροτεμάχια τους. Η ενημέρωση γίνεται ηλεκτρονικά με χάρτες που ανανεώνονται καθημερινά και περιέχουν υπόμνημα που με χρωματικό τρόπο υποδεικνύει τον βέλτιστο χρόνο σποράς για βαμβάκι, καλαμπόκι και ηλίανθο λαμβάνοντας υπόψη τις ανάγκες της κάθε καλλιέργειας χωριστά.

Ακολουθεί ενδεικτικά η τρέχουσα πρόγνωση για το βαμβάκι στην Θεσσαλία. Παρακαλώ ελάτε σε επικοινωνία μαζί μας για πρόσβαση σε επικαιροποιημένους χάρτες σε όλη την Ελλάδα. 

Πρόγραμμα CortevaFlight

 

Η γεωτεχνική ομάδα της Corteva Agriscience Hellas με τη χρήση drones παράγει χάρτες σε πραγματικό χρόνο, για να δώσει τη δυνατότητα στους γεωπόνους και στους παραγωγούς να λάβουν έγκαιρες αποφάσεις σχετικά με: 




1. εγκατάσταση της καλλιέργειας (πληθυσμός νεαρών φυτών και κατανομή αυτών στον χώρο).

2. την ανάπτυξη της φυτείας. 

3. την διασπορά και την έκταση στενόφυλλων και πλατύφυλλων ζιζανίων στο χωράφι.  

Πρόγραμμα CortevaFlight

 

Η γεωτεχνική ομάδα της Corteva Agriscience Hellas με τη χρήση drones παράγει χάρτες σε πραγματικό χρόνο, για να δώσει τη δυνατότητα στους γεωπόνους και στους παραγωγούς να λάβουν έγκαιρες αποφάσεις σχετικά με: 




1. εγκατάσταση της καλλιέργειας (πληθυσμός νεαρών φυτών και κατανομή αυτών στον χώρο).

2. την ανάπτυξη της φυτείας. 

3. την διασπορά και την έκταση στενόφυλλων και πλατύφυλλων ζιζανίων στο χωράφι.  

Συμβουλευτική Λίπανσης PreFér

 

Προσφέρουμε Ορθολογική πρόταση λίπανσης βαμβακιού, καλαμποκιού, ρυζιού και χειμερινών σιτηρών σε συνεργασία με την εταιρεία “Οικοανάπτυξη”. Ο παραγωγός ενημερώνεται σε εβδομαδιαία βάση μέσω ηλεκτρονικής πλατφόρμας στο κινητό του, με συμβουλές και παρατηρήσεις, χάρτες ανάπτυξης της καλλιέργειας και χάρτες εφαρμογής των λιπασμάτων. Υπηρεσία με χρέωση και Προτεραιότητα στα μέλη Granular™ Club.  

Συμβουλευτική Λίπανσης PreFér

 

Προσφέρουμε Ορθολογική πρόταση λίπανσης βαμβακιού, καλαμποκιού, ρυζιού και χειμερινών σιτηρών σε συνεργασία με την εταιρεία “Οικοανάπτυξη”. Ο παραγωγός ενημερώνεται σε εβδομαδιαία βάση μέσω ηλεκτρονικής πλατφόρμας στο κινητό του, με συμβουλές και παρατηρήσεις, χάρτες ανάπτυξης της καλλιέργειας και χάρτες εφαρμογής των λιπασμάτων. Υπηρεσία με χρέωση και Προτεραιότητα στα μέλη Granular™ Club.  

Έλεγχος της ανάπτυξης της καλλιέργειας με βάση τον Δείκτη NDVI 

 

Σε συνεργασία με το Γεωπονικό Πανεπιστήμιο Αθηνών, Τμήμα Αξιοποίησης Φυσικών Πόρων και Γεωργικής Μηχανικής. Παρακολούθηση χωραφιών βαμβακιού και βιομηχανικής τομάτας με την χρήση δορυφορικών εικόνων και στόχο την διαχείριση της καλλιέργειας για μεγιστοποίηση της παραγωγής σε κάθε χωράφι χωριστά.

Έλεγχος της ανάπτυξης της καλλιέργειας με βάση τον Δείκτη NDVI 

 

Σε συνεργασία με το Γεωπονικό Πανεπιστήμιο Αθηνών, Τμήμα Αξιοποίησης Φυσικών Πόρων και Γεωργικής Μηχανικής. Παρακολούθηση χωραφιών βαμβακιού και βιομηχανικής τομάτας με την χρήση δορυφορικών εικόνων και στόχο την διαχείριση της καλλιέργειας για μεγιστοποίηση της παραγωγής σε κάθε χωράφι χωριστά.

Παρακολούθηση και έλεγχος πιθανότητας ανάπτυξης ασθενειών στα χειμερινά σιτηρά  

 

Σε συνεργασία με το farmB επιλεγμένες περιοχές και χωράφια παρακολουθούνται και αναλύονται για την πιθανότητα ανάπτυξης των ασθενειών Σεπτόρια, Ωίδιο, Ελμινθοσπόριο , Κίτρινη και Καστανή  Σκωρίαση, Πυρενοφόρα, Ρυγχοσπορίωση και Ραμουλάρια.. Το μοντέλο προειδοποιεί έγκαιρα τον παραγωγό για την ανάγκη χρήσης μυκητοκτόνου  Υπηρεσία με χρέωση και Προτεραιότητα στα μέλη Granular™ Club. 

Παρακολούθηση και έλεγχος πιθανότητας ανάπτυξης ασθενειών στα χειμερινά σιτηρά  

 

Σε συνεργασία με το farmB επιλεγμένες περιοχές και χωράφια παρακολουθούνται και αναλύονται για την πιθανότητα ανάπτυξης των ασθενειών Σεπτόρια, Ωίδιο, Ελμινθοσπόριο , Κίτρινη και Καστανή  Σκωρίαση, Πυρενοφόρα, Ρυγχοσπορίωση και Ραμουλάρια.. Το μοντέλο προειδοποιεί έγκαιρα τον παραγωγό για την ανάγκη χρήσης μυκητοκτόνου  Υπηρεσία με χρέωση και Προτεραιότητα στα μέλη Granular™ Club. 

Πρόγραμμα καταπολέμησης ζιζανίων με ρομποτικό μηχανισμό Ecorobotix
 

Η μεταφυτρωτική ζιζανιοκτονία στο βαμβάκι αλλάζει ριζικά με την εισαγωγή της ψηφιακής τεχνολογίας. Ρομποτικά παρελκόμενα ψεκαστικά αναγνωρίζουν επί τόπου τα ζιζάνια στο χωράφι και ψεκάζουν μόνο αυτά. Δύο ρομποτικά ψεκαστικά είναι διαθέσιμα (περιορισμένη διαθεσιμότητα).

Πρόγραμμα καταπολέμησης ζιζανίων με ρομποτικό μηχανισμό Ecorobotix
 

Η μεταφυτρωτική ζιζανιοκτονία στο βαμβάκι αλλάζει ριζικά με την εισαγωγή της ψηφιακής τεχνολογίας. Ρομποτικά παρελκόμενα ψεκαστικά αναγνωρίζουν επί τόπου τα ζιζάνια στο χωράφι και ψεκάζουν μόνο αυτά. Δύο ρομποτικά ψεκαστικά είναι διαθέσιμα (περιορισμένη διαθεσιμότητα).

Ecorobotix Φυλλάδιο

Άρδευση Ακριβείας για μείωση του κόστους και εξασφάλιση της απόδοσης 

 

Πρόγραμμα Άρδευσης Ακριβείας σε συνεργασία με την πλατφόρμα Envrio (Δ.Π.Θ). Συμβουλευτική Άρδευσης με στόχο την εξοικονόμηση νερού και ταυτόχρονα την διατήρηση του μεγέθους της παραγωγής. Προτεραιότητα στα χωράφια με στάγδην άρδευση από γεώτρηση.

Άρδευση Ακριβείας για μείωση του κόστους και εξασφάλιση της απόδοσης 

 

Πρόγραμμα Άρδευσης Ακριβείας σε συνεργασία με την πλατφόρμα Envrio (Δ.Π.Θ). Συμβουλευτική Άρδευσης με στόχο την εξοικονόμηση νερού και ταυτόχρονα την διατήρηση του μεγέθους της παραγωγής. Προτεραιότητα στα χωράφια με στάγδην άρδευση από γεώτρηση.

Παρακολούθηση και Έλεγχος Πράσινου σκουληκιού στο βαμβάκι
 

Δίκτυο παγίδων που συλλέγουν δεδομένα  που αποστέλλονται αυτόματα στην Pest Monitoring Corteva Platform. Συνεργασία με Εντομολόγους και το farmB. Δυνατότητα ενοικίασης ηλεκτρονικής παγίδας για εξατομικευμένη παρακολούθηση σε προεπιλεγμένο χωράφι.

Παρακολούθηση και Έλεγχος Πράσινου σκουληκιού στο βαμβάκι
 

Δίκτυο παγίδων που συλλέγουν δεδομένα  που αποστέλλονται αυτόματα στην Pest Monitoring Corteva Platform. Συνεργασία με Εντομολόγους και το farmB. Δυνατότητα ενοικίασης ηλεκτρονικής παγίδας για εξατομικευμένη παρακολούθηση σε προεπιλεγμένο χωράφι.

Σύστημα ποιότητας Centaur για την ασφαλή αποθήκευση καλαμποκιού PIONEER®  με έκπτωση και ανάδειξη αποθηκευμένου καλαμποκιού PIONEER® στην πλατφόρμα agroMarketPlace
Η ψηφιακή κοινότητα Granular™ Club από την Corteva Agrisience Hellas με βάση την διαδραστική επικοινωνία  με προμηθευτές εισροών, ερευνητικά Ιδρύματα, εταιρείες τεχνολογίας και την  ουσιαστική αλληλεπίδραση με γεωπόνους, παραγωγούς, μεταποιητές  και τον ευρύτερο αγροδιατροφικό τομέα στοχεύει στην προσφορά υπηρεσιών νέας γενιάς για πιο αποτελεσματική και βιώσιμη Γεωργία μέσο και μακροπρόθεσμα.

Σύστημα ποιότητας Centaur για την ασφαλή αποθήκευση καλαμποκιού PIONEER®  με έκπτωση και ανάδειξη αποθηκευμένου καλαμποκιού PIONEER® στην πλατφόρμα agroMarketPlace
Η ψηφιακή κοινότητα Granular™ Club από την Corteva Agrisience Hellas με βάση την διαδραστική επικοινωνία  με προμηθευτές εισροών, ερευνητικά Ιδρύματα, εταιρείες τεχνολογίας και την  ουσιαστική αλληλεπίδραση με γεωπόνους, παραγωγούς, μεταποιητές  και τον ευρύτερο αγροδιατροφικό τομέα στοχεύει στην προσφορά υπηρεσιών νέας γενιάς για πιο αποτελεσματική και βιώσιμη Γεωργία μέσο και μακροπρόθεσμα.

Ψηφιοποίηση κτημάτων με εσπεριδοειδή, μήλα και κεράσια. 
 

Ανάλυση της υγείας των δένδρων ένα προς ένα. Αναλυτική απεικόνιση από την εξειδικευμένη εταιρεία Seetree. Η υπηρεσία προσφέρεται δωρεάν για ένα κτήμα 

Ψηφιοποίηση κτημάτων με εσπεριδοειδή, μήλα και κεράσια. 
 

Ανάλυση της υγείας των δένδρων ένα προς ένα. Αναλυτική απεικόνιση από την εξειδικευμένη εταιρεία Seetree. Η υπηρεσία προσφέρεται δωρεάν για ένα κτήμα 

Αίτηση Παραγωγού

Για την αίτησή σας ως Παραγωγός παρακαλώ πατήστε και συμπληρώστε την φόρμα

ή εναλλακτικά

συμπληρώστε τα παρακάτω έγγραφα. Αφού υπογράψετε όλα τα σχετικά πεδία αποστείλετε τα έγγραφα στο granular.club.greece@corteva.com.

Μετά την υποβολή της αίτησής σας, ένας εκπρόσωπός μας θα επικοινωνήσει άμεσα μαζί σας για τα επόμενα βήματα.

Αίτηση Εμπόρου

Για την αίτησή σας ως Συνεργάτης Έμπορος παρακαλώ πατήστε και συμπληρώστε την φόρμα

ή εναλλακτικά

συμπληρώστε τα παρακάτω έγγραφα. Αφού υπογράψετε όλα τα σχετικά πεδία αποστείλετε τα έγγραφα στο granular.club.greece@corteva.com.

Μετά την υποβολή της αίτησής σας, ένας εκπρόσωπός μας θα επικοινωνήσει άμεσα μαζί σας για τα επόμενα βήματα.